Adjudicaron los dos tramos de refuncionalización Acceso Este en departamento Maipú, Mendoza
El 19 de febrero el gobierno informó la adjudicación de los dos tramos de la refuncionalización del Acceso Este en Mendoza, el cual consiste en la repavimentación y mejoras varias en los 12 intercambiadores ubicados entre las calles Arturo González y Lamadrid. Las mejoras varias consisten en múltiples rotondas en las vías menores que cruzan la autopista, y el desplazamiento de algunas ramas para mejorar la seguridad en la circulación.
En la Sección 1 (Arturo González–Cervantes) la ganadora fue José Cartellone Construcciones Civiles S.A., ofertando un monto de $19.798.393.035. La Sección 2 (Cervantes–Lavalle) quedó en manos de Construcciones Electromecánicas del Oeste S.A. (CEOSA) por $28.718.224.820,06.
No se informó el comienzo estimado, pero el plazo de obra es de 12 meses.
Ampliación carriles: Refuncionalización de autopista RP22 en Maipú, desde Arturo González a Cervantes
Ampliación carriles 18.8 km En licitación
Repavimentación en la autopista RP22 entre las calles Arturo González y Lamadrid de los departamentos Maipú y Guaymallén de Mendoza. Además, se mejoran todas las intersecciones, sea con la adición de rotondas en los extremos de las vías menores, como en el desplazamiento de calzada para optimizar la seguridad.
Ampliación carriles: Refuncionalización de autopista RP22 en Maipú, desde Arturo González a Cervantes
Repavimentación en la autopista RP22 entre las calles Arturo González y Lamadrid de los departamentos Maipú y Guaymallén de Mendoza. Además, se mejoran todas las intersecciones, sea con la adición de rotondas en los extremos de las vías menores, como en el desplazamiento de calzada para optimizar la seguridad.
Longitud: 18.8 km
Pliegos de licitación
Consiste en la repavimentación integral de 8.76 km de la autopista RP22 (ex RN7, acceso Este a Mendoza), con mejoras varias en 5 intersecciones de dicha vía. Las banquinas, actualmente de ripio, serán pavimentadas, con 2.5 m de ancho las externas y 1.05 m las internas.
La traza discurre casi por completo en el departamento Maipú, aunque hay un tramo de 1500 metros en el departamento Guaymallén, incluyendo el cruce con RP50 y el viaducto sobre el ferrocarril.
Se proyecta un refuerzo estructural compuesto por una carpeta de concreto asfáltico de 14 cm (dispuesta en 2 capas de 7 cm) y una base de material granular de 20 cm de espesor en todo el ancho del pavimento existente de calzadas principales. También se incluyen trabajos de limpieza en el sector, colocación de señalización horizontal y vertical, colocación de sistema de contención lateral donde sea necesario y mantenimiento de infraestructura complementaria.

En las intersecciones se ejecutará pavimento flexible nuevo compuesto por una carpeta de concreto asfáltico de 7 cm, una base de 20 cm y una subbase de 35 cm, ambas de material granular. En los sectores donde se requiera pavimento rígido se conformará con una losa de hormigón H30 de 21 cm y una base de material granular de 20 cm.
Mejoras en intersecciones
Se han planteado diversas medidas para incrementar la seguridad de los cruces. La más notoria es la adición de rotonda en los extremos norte y sur de los cruces, a excepción de la RP50 —la única con trébol incompleto—, y la calle Maza. Algunas vías se han desplazado para permitir un mejor ángulo de ingreso y egreso, destacándose la eliminación de las dos salidas a 90° que quedaban en las calles Medina y San Pedro; en otros casos se ha apartado la bifurcación de colectora y ramal de ingreso de la curva de la propia colectora. Otro rasgo que se repite es la extensión de los ramales de egreso de la autopista, los cuales se extienden hacia los viaductos para luego torcerse e intersecar a las colectoras en 90° en lugar de los ángulos cerrados.
RP50 – Bandera de Los Andes
Es el único trébol parcial del segmento, por lo que no son necesarias rotondas. Se plantea un nuevo carril que comunicará la RP50 en sentido norte – sur hacia la RP22 en sentido oeste – este. También se plantea un ramal separado para el acceso desde RP50 hacia la colectora sur con destino a Mendoza, similar al que ya existe en el extremo opuesto..

RP29 – Nicolás Sepra
Se construirán dos rotondas de 40 metros de radio interno, en los extremos norte y sur del cruce, los que vinculan la calle Serpa con las colectoras.

Los dos ramales que permiten egresar del Acceso Este, se encuentran hoy con las colectoras doble mano en ángulos cerrados, de 30° aproximadamente; se prolongarán dichos ramales acercándolos al viaducto, para permitir un ángulo de giro que interseque a las colectoras a 90°.
Los dos ramales que permiten ingresar al Acceso Este se trasladarán 60 metros más adelante de donde se encuentran actualmente, de manera que el desvío desde la colectora no se realice en el final de la curva, sino desde la recta.
Don Bosco
Se construirán dos rotondas de 40 metros de radio interno, en los extremos norte y sur del cruce, los que vinculan la calle Don Bosco con las colectoras.

Los dos ramales que permiten egresar del Acceso Este, se encuentran hoy con las colectoras doble mano en ángulos cerrados, de 30° aproximadamente; se prolongarán dichos ramales acercándolos al viaducto, para permitir un ángulo de giro que interseque a las colectoras a 90°.
Los dos ramales que permiten ingresar al Acceso Este se trasladarán más adelante de donde se encuentran actualmente, de manera que el desvío desde la colectora no se realicen desde una curva, sino desde una recta. En el cuadrante noroeste (es decir, el que permite ir desde Don Bosco hacia el centro de Mendoza) está unos 60 metros más adelante, mientras que en el sudeste (el que permite ir desde Don Bosco hacia San Martín) está 120 metros después.
Calle Juan Isidro Maza
En los cruces de la calle con las colectoras se mantienen los cruces sin rotonda, pero se separan los carriles que permiten ingresar desde ambos lados a la calle sin trasponerla. A su vez, los cruces en «T» que conectan los ramales de ingreso y egreso del Acceso Este con las colectoras se desplazan para alejarlos de la calle Maza, aunque solo el que sirve para acceder a la calzada con rumbo a San Martín dista 80 metros, mientras que el resto apenas unos metros.

Calle Cervantes
Se construirán dos rotondas de 40 metros de radio interno, en los extremos norte y sur del cruce, los que vinculan la calle Cervantes con las colectoras. La rotonda sur, a diferencia de las otras presentadas hasta aquí, tiene un carril de salida para el ramal que accede a la autopista; en las otras este ramal sale directamente desde la colectora.

Los dos ramales que permiten egresar del Acceso Este, se encuentran hoy con las colectoras doble mano en ángulos cerrados, de 30° aproximadamente; se prolongarán dichos ramales acercándolos al viaducto, para permitir un ángulo de giro que interseque a las colectoras a 90°.
El ramal que permite ingresar a la autopista con sentido a Mendoza se traslada unos 50 metros hacia la calle Cervantes, de manera que se encontrará en el otro extremo de la curva, lo que dificultará la maniobra empujando a realizarla a través de la rotonda.
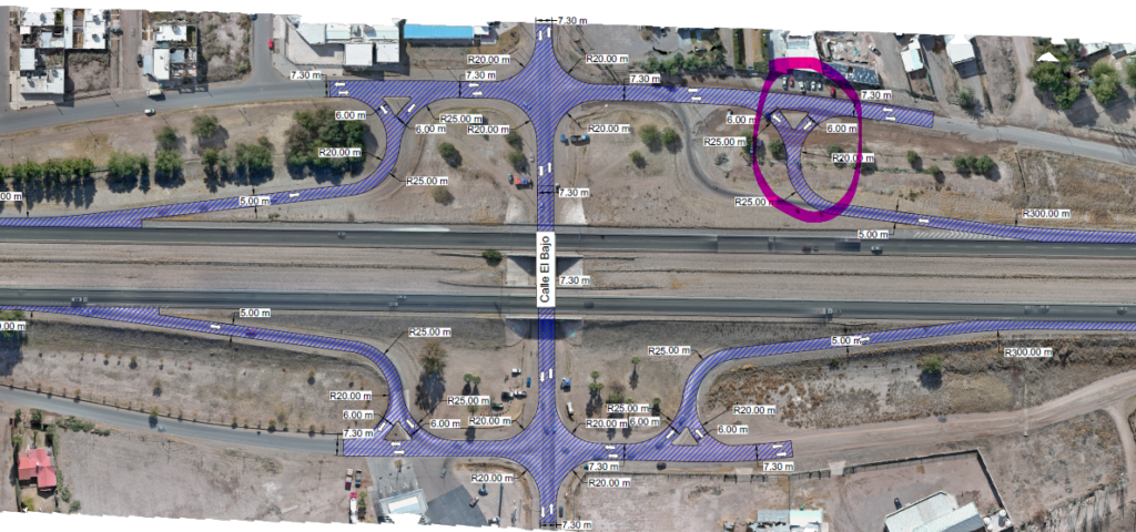
RP31 – Calle El Bajo
El único cambio es el cruce en «T» que permite acceder desde desde la calzada con sentido hacia el centro de Mendoza con la colectora norte, la cual se traslada 50 metros más lejos de la calle El Bajo.

Calle Medina
Se construirán dos rotondas de 40 metros de radio interno, en los extremos norte y sur del cruce, los que vinculan la calle Medina con las colectoras.

Los dos ramales que permiten egresar del Acceso Este, se encuentran hoy con las colectoras doble mano en ángulos cerrados, de 30° aproximadamente; se prolongarán dichos ramales acercándolos al viaducto, para permitir un ángulo de giro que interseque a las colectoras a 90°.
El ramal que permite ingresar al Acceso Este con sentido hacia Mendoza también toma el formato de una «T» en ángulo recto en el cruce con colectora, para lo cual se prolonga el ramal acercándolo al viaducto; en este mismo sector, la colectora se aparta de la línea de edificación conectándose con la calzada paralela a RP22 en un ángulo más cerrado. El ramal que permite ingresar a la autopista con sentido a San Martín dejará de hacerlo a 90°, y se traslada 100 metros más adelante, en tanto que se colocará una baranda para disuadir el uso del acceso actual.
RP33 – Las Margaritas
Se construirán dos rotondas de 40 metros de radio interno, en los extremos norte y sur del cruce, los que vinculan la calle Las Margaritas con las colectoras.

Los dos ramales que permiten egresar del Acceso Este, se trasladan unos 80 metros a un punto más próximo al viaducto, conservando el ángulo de casi 90° que tienen actualmente.
En el ramal de acceso a la autopista con sentido a San Martín se elimina la curva y contracurva por una sola curva y un ramal de acceso a la autopista apenas alejado del actual. El que permite ingresar con sentido a Mendoza no tendrá cambios.
Calle San Pedro
Se construirán dos rotondas de 40 metros de radio interno, en los extremos norte y sur del cruce, los que vinculan la calle San Pedro con las colectoras.

La salida desde la autopista hacia el sur se elimina el cruce a 90° por una rama de salida que se vincula a la colectora en una «T» a 90°. En la salida hacia el norte, se prolonga el ramal hacia el viaducto para torcerse e intersecar a la colectora en 90°, 100 metros más adelante.
La entrada al Acceso Este tanto desde el norte como el sur se traslada 70 metros después, de manera que salga desde una recta y no desde la curva de la colectora.
RP8 – Calle Lamadrid
Los ramales de ingreso y egreso que hoy se juntan para intersecar a las colectoras en un único punto son separadas a una distancia mínima de 50 metros. Todas tendrán carriles divididos en el punto de intersección con la excepción de la que vincula la salida de la calzada con destino a San Martín con la colectora Sur. Las calzadas nuevas corresponden a los ingresos, manteniéndose las actuales como egresos de la autopista. La colectora sur, además, se separa de su trazado actual 150 metros antes de la intersección, acercándose a la líntea de frentistas para conectar en mejor ángulo con la salida de la autopista.

Ampliación carriles: Refuncionalización de autopista RP22 en Maipú, desde Cervantes a Lavalle
Ampliación carriles 10.04 km Adjudicado
Repavimentación en la autopista RP22 entre las calles Cervantes y Lavalle del departamento Maipú de Mendoza. Además, se mejoran todas las intersecciones, sea con la adición de rotondas en los extremos de las vías menores, como en el desplazamiento de calzada para optimizar la seguridad.
Ampliación carriles: Refuncionalización de autopista RP22 en Maipú, desde Cervantes a Lavalle
Repavimentación en la autopista RP22 entre las calles Cervantes y Lavalle del departamento Maipú de Mendoza. Además, se mejoran todas las intersecciones, sea con la adición de rotondas en los extremos de las vías menores, como en el desplazamiento de calzada para optimizar la seguridad.
Longitud: 10.04 km
Pliegos de licitación
Consiste en la repavimentación integral de 10.04 km de la autopista RP22 (ex RN7, acceso Este a Mendoza), con mejoras varias en 7 intersecciones de dicha vía. Las banquinas, actualmente de ripio, serán pavimentadas, con 2.5 m de ancho las externas y 1.05 m las internas.
Se proyecta un refuerzo estructural compuesto por una carpeta de concreto asfáltico de 14 cm (dispuesta en 2 capas de 7 cm) y una base de material granular de 20 cm de espesor en todo el ancho del pavimento existente de calzadas principales. También se incluyen trabajos de limpieza en el sector, colocación de señalización horizontal y vertical, colocación de sistema de contención lateral donde sea necesario y mantenimiento de infraestructura complementaria.

En las intersecciones se ejecutará pavimento flexible nuevo compuesto por una carpeta de concreto asfáltico de 7 cm, una base de 20 cm y una subbase de 35 cm, ambas de material granular. En los sectores donde se requiera pavimento rígido se conformará con una losa de hormigón H30 de 21 cm y una base de material granular de 20 cm.
Mejoras en intersecciones
Se han planteado diversas medidas para incrementar la seguridad de los cruces. La más notoria es la adición de rotonda en los extremos norte y sur de los cruces, a excepción de la RP50 —la única con trébol incompleto—, y las calles Maza, El Bajo y Lamadrid. Algunas vías se han desplazado para permitir un mejor ángulo de ingreso y egreso, destacándose la eliminación de las dos salidas a 90° que quedaban en las calles Medina y San Pedro; en otros casos se ha apartado la bifurcación de colectora y ramal de ingreso de la curva de la propia colectora. Otro rasgo que se repite es la extensión de los ramales de egreso de la autopista, los cuales se extienden hacia los viaductos para luego torcerse e intersecar a las colectoras en 90° en lugar de los ángulos cerrados.
RP31 – Calle El Bajo
El único cambio es el cruce en «T» que permite acceder desde desde la calzada con sentido hacia el centro de Mendoza con la colectora norte, la cual se traslada 50 metros más lejos de la calle El Bajo.

Calle Medina
Se construirán dos rotondas de 40 metros de radio interno, en los extremos norte y sur del cruce, los que vinculan la calle Medina con las colectoras.

Los dos ramales que permiten egresar del Acceso Este, se encuentran hoy con las colectoras doble mano en ángulos cerrados, de 30° aproximadamente; se prolongarán dichos ramales acercándolos al viaducto, para permitir un ángulo de giro que interseque a las colectoras a 90°.
El ramal que permite ingresar al Acceso Este con sentido hacia Mendoza también toma el formato de una «T» en ángulo recto en el cruce con colectora, para lo cual se prolonga el ramal acercándolo al viaducto; en este mismo sector, la colectora se aparta de la línea de edificación conectándose con la calzada paralela a RP22 en un ángulo más cerrado. El ramal que permite ingresar a la autopista con sentido a San Martín dejará de hacerlo a 90°, y se traslada 100 metros más adelante, en tanto que se colocará una baranda para disuadir el uso del acceso actual.
RP33 – Las Margaritas
Se construirán dos rotondas de 40 metros de radio interno, en los extremos norte y sur del cruce, los que vinculan la calle Las Margaritas con las colectoras.

Los dos ramales que permiten egresar del Acceso Este, se trasladan unos 80 metros a un punto más próximo al viaducto, conservando el ángulo de casi 90° que tienen actualmente.
En el ramal de acceso a la autopista con sentido a San Martín se elimina la curva y contracurva por una sola curva y un ramal de acceso a la autopista apenas alejado del actual. El que permite ingresar con sentido a Mendoza no tendrá cambios.
Calle San Pedro
Se construirán dos rotondas de 40 metros de radio interno, en los extremos norte y sur del cruce, los que vinculan la calle San Pedro con las colectoras.

La salida desde la autopista hacia el sur se elimina el cruce a 90° por una rama de salida que se vincula a la colectora en una «T» a 90°. En la salida hacia el norte, se prolonga el ramal hacia el viaducto para torcerse e intersecar a la colectora en 90°, 100 metros más adelante.
La entrada al Acceso Este tanto desde el norte como el sur se traslada 70 metros después, de manera que salga desde una recta y no desde la curva de la colectora.
RP8 – Calle Lamadrid
Los ramales de ingreso y egreso que hoy se juntan para intersecar a las colectoras en un único punto son separadas a una distancia mínima de 50 metros. Todas tendrán carriles divididos en el punto de intersección con la excepción de la que vincula la salida de la calzada con destino a San Martín con la colectora Sur. Las calzadas nuevas corresponden a los ingresos, manteniéndose las actuales como egresos de la autopista. La colectora sur, además, se separa de su trazado actual 150 metros antes de la intersección, acercándose a la líntea de frentistas para conectar en mejor ángulo con la salida de la autopista.
