Pavimentación: RP31 entre Tartagal e Intiyaco
Pavimentación de 22 km de la ruta provincial 31 entre las localidades de Tartagal e Intiyaco, en el norte de Santa Fe.
Longitud: 21.83 km
Pliegos de licitación
Luego del reinicio de obras a mediados del año pasado, la pavimentación de RP31 entre Intiyaco y Tartagal alcanzó el 55%. Es lo que se desprende de declaraciones del Ministro de Obras Públicas.
Desde Tartagal hacia el oeste, en unos dos kilómetros, ya se encuentra construida la capa asfáltica de rodamiento…en estos momentos se trabaja en el hormigonado de alcantarillas transversales, movimiento de suelo, construcción de capas especiales y colocación de la capa asfáltica de rodamiento

Sobre este proyecto
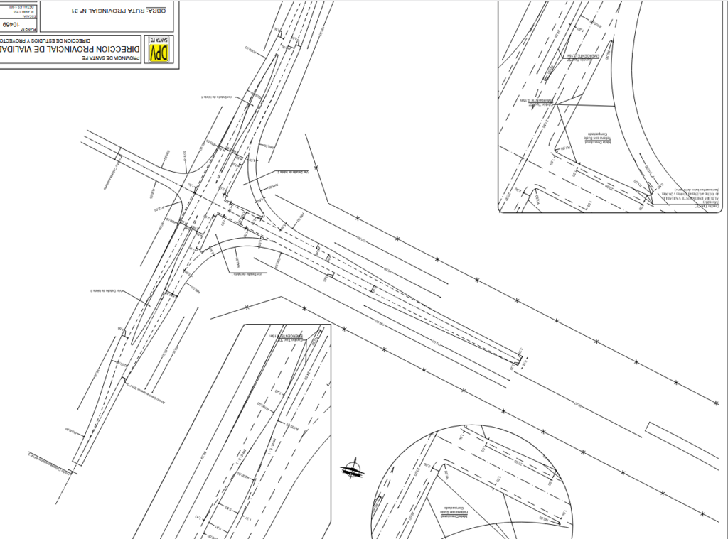
Consiste en la pavimentación de la ruta provincial 31 entre las localidades de Tartagal (RP96-s) e Intiyaco (RP3). De completarse, significaría el eje este – oeste más al norte en unir las rutas 11 y 31, las más importantes del nordeste santafesino.
Tanto en Tartagal como en Intiyaco se han trazado variantes para optimizar el acceso a ambas localidades.
Descripción
La calzada tendrá un ancho de 6.70 m, en una longitud de 21.828,43 metros. En la intersección de las rutas 31 y 3 habrá una intersección canalizada, con carriles de cambio de velocidad, isletas centrales para ubicación de carriles de espera y giros a izquierda sobre RPN° 3 (justificándose su ejecución por emplazarse dentro del sector de influencia del ejido urbano de la localidad de Intiyaco) y las respectivas isletas direccionales y separadoras de tránsito.

Luego del comienzo en el acceso a Tartagal, se abandona la curva y contracurva por una recta que llega ahasta el cruce con la RP96-s. 1 km antes del cruce con RP3 se abre una neuva traza al noroeste que enlaza con el cruce con la RP31 del lado oeste de la RP3.
Se ha definido como perfil tipo para un ancho de zona de camino variable entre 50.00 m a 70.00 m aproximadamente, un coronamiento de 13.30 m, taludes 1:4, calzada de 6.70 m de ancho y banquinas de suelo vegetal compactado de 3.30 m de ancho a ambos lados.

Se ha previsto para esta obra un terraplén compactado, una subrasante mejorada con cal en 20cm de espesor y 7,50m de ancho, una subbase de suelo seleccionado estabilizado con cal en 19 cm de espesor y 7.10 m de ancho, una base de estabilizado granular cementado en 15 cm de espesor y 6.80 m de ancho. La carpeta concreto asfáltico en caliente de 7 cm de espesor y 6.70 m de ancho y por último las banquinas con suelo vegetal compactado en 15cm de espesor y 3.30 m de ancho.

Drenaje
El desagüe de las precipitaciones se encauzará por cunetas laterales a ambos lados del camino hacia las zonas más bajas, para lo cual se han proyectado alcantarillas transversales, demoliendo y reemplazando una serie de las alcantarillas existentes. Se construirán una batería de alcantarillas transversales dentro del tramo
nueva traza, prog. 0+000 hasta prog. 1+350 aprox., aguas abajo de alcantarillas con compuertas existentes, en las cuales no se realizará ninguna intervención.

Básicamente la dirección general del flujo superficial se conduce desde progresiva 9+200 hasta Prog. 0+000 hacia el Este, al reservorio existente, que por la batería de alcantarillas se conduce hacia la Cañada Los Amores por cauces naturales existentes, hacia el Norte. Desde Prog 9+200 hasta Ruta Prov. N° 3, la dirección general del flujo es Norte – Sur, transversal al la traza, hacia la Cañada del arroyo El Rey, donde se encuentran emplazadas 15 alcantarillas transversales tipo A1, según Plano Tipo N° 3557/A/B, de luces y alturas variables.