Pavimentación: RN75 La Rioja – Dique Las Padercitas
Cambio de traza
Longitud: 6.6 km
Pliegos de licitación
Sin datos. Hay una práctica profesional supervisada de Catalina Vanoli en la empresa Vanoli que aparentemente es la base del proyecto.
Según informó Vialidad Nacional, el 3 de febrero de 2026 se retomaron los trabajos en el segundo túnel del tramo de la RN75 que vincula la ciudad de La Rioja con el Dique de los Sauces. No se mencionó el plazo de finalización.
La obra que tenía en su total 6600 metros, fue inaugurada parcialmente en 2023, restando solo uno de los tres túneles previstos. Los trabajos, como tantos otros en la gestión de Milei, resultó paralizado desde el inicio de su mandato.
Sobre este proyecto
Consiste en el cambio de de la traza de RN75 que discurre junto al río De los Sauces entre la rotonda con la avenida San Francisco y un punto ubicado unos 500 metros aguas arriba de la pared del dique Los Sauces, llevándola un poco más al norte, de manera que en lugar de correr en la quebrada misma del curso de agua lo hace recostada sobre la montaña. Para esto se previeron tres túneles; la distancia se acorta de 8 a 6.6 km.
En el segmento en cuestión, su valor es que vincula a la capital provincial con el dique de Los Sauces. El camino circula en el estrecho valle del río, lo que le brinda un atractivo paisajístico que generó una urbanización lineal con casas de fin de semana y emprendimientos turísticos, por lo que su circulación se torna tortuosa y lenta. Al momento de esta consulta Google Maps por ejemplo establecía 15 minutos para recorrer 8 km, es decir 30 km/h.

Sector inaugurado
El 2 de mayo de 2023 se hizo una inauguración parcial que incluía dos de los tres túneles. El único tramo que aun resta concluir es el segundo túnel, que tiene una longitud de 1200 metros, 600 metros menos que la distancia en el trazado actual.
Características de la obra
La nueva calzada es de pavimento flexible en concreto asfáltico, tiene 7 m de ancho, un carril por sentido de circulación, y banquinas de 1.5 m en ambos sentidos, dependiendo de la cercanía al macizo. Las banquinas tendrán cunetas revestidas en hormigón simple de 0.15 m de espesor. En secciones de corte, con talud 2:1 (V:H) , se prevén bermas de 2.00 m de ancho de hormigón cuando la altura de corte supera los 8 m de altura. En tramos con muros de sostenimiento se proyectan las defensas rígidas tipo New Jersey alta o F, de 1070 mm de altura. Esto se fundamenta en la necesidad de asegurar el máximo nivel de contención posible, aún para impacto de vehículos de gran porte (hasta 40 tn).

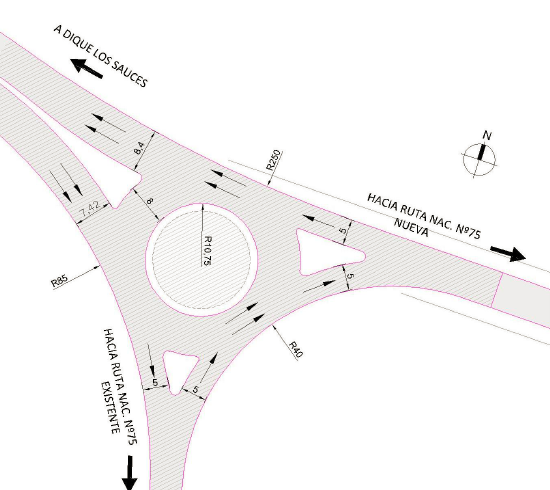
Rotondas
Para las intersecciones proyectadas, se aplica el perfil tipo de rotonda, con calzadas de anchos variables confinadas por cordones montables y de pavimento de hormigón. Este perfil se adopta en las tres intersecciones proyectadas: prg. 0+130, prg. 4+500 y prg. 5+020.
La intersección con Av. De Circunvalación, la traza actual de la RN Nº75 y el proyecto se resuelve con una rotonda de 4 ramas a fin de posibilitar todos los movimientos minimizando entrecruzamientos.

La intersección entre la traza existente y el proyecto, en proximidades de la salida del túnel Nº2, tipológicamente responde a una rotonda de 3 ramas, aunque funcionalmente se trate de una intersección canalizada ya que los movimientos desde y hacia la traza existente se encuentran regulados por la señal de PARE.

La intersección del proyecto con el camino hacia el pie de presa se conforma como una intersección canalizada con posibilidad de acomodar la maniobra de retorno. Vincula además una calle local existente.

Perfil urbano
Del tipo boulevard, con dos calzadas de 7.00 m de ancho en pavimento flexible, confinadas por cordones enterrados y cordón cuneta serrano, aceras de 1.50 m de ancho a ambos lados y cantero central de 1.00 m. Este último perfil se aplica entre las progresivas 4+500 hasta la progresiva 5+020, entre las intersecciones n°2 y n°3.
Repavimentación
En el último tramo, luego de la intersección n°3 y hasta la progresiva 5+145, se proyecta la repavimentación de la ruta actual. También se prevé la repavimentación de un tramo del camino existente en el comienzo, desde la rotonda en la Av. Circunvalación hasta la altura de la prg. 0+900 de la traza proyectada. Se proyecta la construcción de un recapado de concreto asfáltico de 0.05 m de espesor para este perfil junto con la reconstrucción de las cunetas.
Carriles de sobrepaso
Se prevé la ejecución de un carril de adelantamiento, en sentido de aumento de las progresivas, es decir mano hacia el Oeste. El mismo comienza en la progresiva 0+860 en donde el alineamiento vertical comienza a subir con un aumento de pendiente y se extiende 820 metros, hasta la progresiva 1+680 para dar entrada más adelante al túnel Nº1. En 5 kilómetros de travesía en montaña se crea una zona de sobrepaso de 0,8 a 1 km.
Las cuñas de entrada y salida al carril cumplen con las longitudes suficientes para maniobras seguras según recomendaciones de la AASHTO. El carril tiene las mismas dimensiones que los carriles proyectados: 3,50 metros de ancho, con 3,00 metros de ancho de banquina. Se muestra a continuación un perfil tipo del tramo con carril adicional para adelantamiento.
Túneles
Los carriles son de 3.70 m de ancho cada uno, es decir, la calzada es de 7.40 m de ancho. Se reduce la banquina a 0.75 m y el gálibo libre es de 5.10 metros. Asimismo, cuenta con 7 metros de altura en el eje y 5.4 metros a partir de la colocación de luminarias LED.
Importancia
La ruta nacional 75 es una ruta que discurre completamente dentro de la Provincia de La Rioja vinculando La Rioja con Aimogasta por los faldeos de la Sierra de Velazco. Es seguramente una de las herencias de la presidencia de Menem, ya que la misma era de jurisdicción provincial hasta 1990, y a diferencia de otras rutas nacionales no vincula pasos limítrofes ni regiones entre sí. Más bien que su única «importancia» reviste en que pasa por Anillaco, lugar de nacimiento del ex presidente.